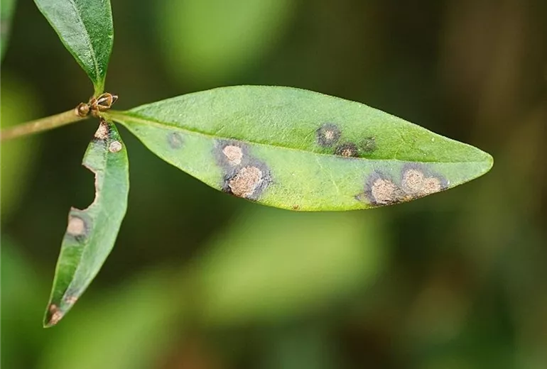
Blattflecken an Liguster

Schadbild

Im Sommer weisen die Blätter braune oder graue Blattflecken auf. Bei stärkerem Befall verlieren die Sträucher ihre Blätter.

Erreger

An Liguster kommen verschiedene Blattfleckenerreger vor, die vor allem bei feuchter Witterung zu Blattfall führen können. Die Bestimmung der jeweiligen Art ist nur durch Pflanzenschutzspezialisten möglich.

Bekämpfung

Eine Spritzung ist normalerweise nicht erforderlich.